#122594 | Dyreriget / Leddyr / Hexapoda / Insekter / Biller / Polyphaga / Scarabaeoidea / Hjortebiller / Lucaninae / Lucanini / Lucanus /

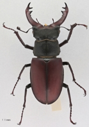
Eghjorten er Europas største bille. Hannen bliver op til 10 cm lang, hunnen 5 cm. Hannen har et stort hoved og et par store, kraftige kindbakker, som minder om et hjortegevir. Hunnen har et smallere hoved uden de kraftige kindbakker. Eghjorten er Europas største bille.
Hannen er rødbrun til sort, hunnen lidt mere brunlig.
Eghjorten er fredet og må derfor ikke samles ind eller slås ihjel. Ifølge EU's habitatdirektiv skal der laves særlige områder for at bevare eghjorten i de lande i EU, hvor den findes.
Biologi
Eghjorten lever i 3-6 år, langt størstedelen af tiden som larve i jorden.
I lunt vejr fra midsommer og til begyndelsen af august flyver de voksne dyr omkring i skumringen eller om natten, højlydt summende med lodret hængende krop.
Hannerne bruger deres store kindbarker til at kæmpe mod hinanden om hunnerne, der er i undertal. Efter parringen graver hunnen en lang gang ned i jorden langs en trærod eller under en stub, hvor hun lægger 50-100 æg.
Æggene klækkes efter et par uger, og de små larver begynder straks at æde løs af det døde træ. De følgende ca. 4 år lever de under jorden og kan blive op til 11 cm lange.
I september når larven er ca. fire år gammel, laver den en kokon af jord, der er kittet sammen. Inde i denne forpupper den sig og forvandler sig til en voksen bille. Den bliver i puppen i den følgende vinter og kommer først frem fra midten af juni.
De voksne eghjorte lever kun ca. fire uger.
Hannen bruger sine store gevir- lignende kindbakker til at kæmpe med andre hanner om hunnerne.
Levested
Eghjorten foretrækker gamle lysåbne løvskove med især eg, bøg og ask. Larverne lever af underjordiske eller jordnære dele af døde træer, fx rødder, stubbe og stammer, mens de voksne dyr lever af plantesaft. Man kan se eghjorte nærmest i beruselse tumle til jorden af den plantesaft, de har slikket i sig.
Udbredelse
Indtil midten af 1800-tallet var eghjorten formentlig udbredt i det meste af Danmark. Eghjorten regnes nu for uddød i Danmark. Tidligere fandtes den i Østjylland, på Fyn, Sjælland og Bornholm. Den forsvandt sandsynligvis fra Sjælland først, omkring 1873, mens arten er registreret frem til 1950erne på Æbelø nord for Fyn og Bornholm. Det sidste dyr blev set i skovene ved Vejle Fjord omkring 1970.
Eghjorten har været forsvundet fra Danmark siden omkring 1970, men en enkelt eghjorte-han blev observeret i juni 2008 ved Hareskoven nordvest for København.
I 2013 gjorde eghjorten comeback i den danske natur, da 112 voksne eghjorte og 180 eghjorte-larver blev udsat på fem lokaliteter i Dyrehaven.
Videre læsning
Eghjort. Uddrag fra Folk og fauna (Brøndegaard, 1985-86) via KSLA (Kungliga Skogs- och Lantbruksakademien).
Sjove fakta
Trusler mod eghjorten
- Omlægning af bøgeskove på morbund til plantager med nåletræ.
- Rydning af bøgestubbe, opdyrkning og tilplantning af skråninger.
- Tilgroning af egeskov.
- Ændring af klimaet i retning mod et mere køligt og fugtigt klima.
- Naturlige fjender: Kragefugle kan tage en del eghjorte, når de som nyudklækkede biller kommer op til overfladen af jorden.

Arter er et fællesskab, hvor alle kan hjælpe med at finde, registrere og bestemme arter. Du kan samtidig få inspiration til naturoplevelser og viden om Danmarks artsrigdom.
Arter er et samarbejde mellem Styrelsen for Grøn Arealomlægning og Vandmiljø, Statens Naturhistoriske Museum og Naturhistorisk Museum Aarhus
Projektet er finansieret af Aage V. Jensen Naturfond, 15. Juni Fonden og den danske stat.
På Arter finder du:
fund
brugere
datasæt
Du kan ringe til supporten på hverdage mellem kl. 9 og 14 på +45 31 50 15 70, eller du kan udfylde denne kontaktformular
Få hjælp og vejledning i vores hjælpeunivers
Arters app gør det let at registrere dine fund via mobilen. Med appen kan du få viden om arterne og se, hvad andre brugere finder i nærheden af dig.
Hvis du færdes steder med dårlig internetforbindelse, kan du registrere dine fund og uploade dem senere.
Hent appen: