#943646| Rapporteret d. 28/5-2024 23:00|

Dette fund er ikke registreret hos Arter, men stammer fra iNaturalist, validerede artsfund fra Danmark
Se fundet hos Gbif: https://www.gbif.org/occurrence/4875132793
Se det oprindelige fund her: https://www.inaturalist.org/observations/219089653
Dette fund er udstillet under licensen: http://creativecommons.org/licenses/by/4.0/legalcode
Observeret her:
Usikkerhed: 25591m
Info om arten:
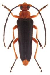
Rødlig spidsbuk - Pedostrangalia revestita


Ingen beskrivelse af denne art. Vi arbejder på sagen.
Truet
EN

Arter er et fællesskab, hvor alle kan hjælpe med at finde, registrere og bestemme arter. Du kan samtidig få inspiration til naturoplevelser og viden om Danmarks artsrigdom.
Arter er et samarbejde mellem Styrelsen for Grøn Arealomlægning og Vandmiljø, DanBIF, Naturhistorisk Museum Aarhus og Statens Naturhistoriske Museum.
Projektet er finansieret af Aage V. Jensen Naturfond, 15. Juni Fonden og den danske stat.
På Arter finder du:
fund
brugere
datasæt
Du kan ringe til supporten på hverdage mellem kl. 9 og 14 på +45 31 50 15 70, eller du kan udfylde denne kontaktformular
Få hjælp og vejledning i vores hjælpeunivers
Arters app gør det let at registrere dine fund via mobilen. Med appen kan du få viden om arterne og se, hvad andre brugere finder i nærheden af dig.
Hvis du færdes steder med dårlig internetforbindelse, kan du registrere dine fund og uploade dem senere.
Hent appen: