#31584418| Rapporteret d. 16/7-2025 14:24| Raporteret af: Emil Raakjær Bak
Artsbestemmelsen af dette fund er kun foreløbig. Foreslå en ny art, hvis du ikke er enig. Eller foreslå eksempelvis en slægt, familie eller orden, hvis fundet ikke kan bestemmes til at være en bestemt art. Læs mere om artsbestemmelse her.

Foreslået af Emil Raakjær Bak (d. 16/7-2025 14:24) (Sikker)
Her møder vi hinanden med nysgerrighed og imødekommenhed! Få tips og tricks til god kommunikation og læs retningslinjerne for god adfærd på forum-tråde.
Observeret her:
Usikkerhed: 5m
Info om arten:
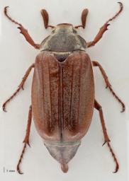
Almindelig oldenborre - Melolontha melolontha


En stor bille med kastanjefarvede dækvinger. Hoved og forkrop er sort. Bugen er ligeledes sort med en række trekantede, hvide pletter på siden af bagkroppen. Antennerne er kølleformede og kan spredes ud som en vifte. De er markant større hos hannen. Længde 20-30 mm.
Livskraftig
LC

Arter er et fællesskab, hvor alle kan hjælpe med at finde, registrere og bestemme arter. Du kan samtidig få inspiration til naturoplevelser og viden om Danmarks artsrigdom.
Arter er et samarbejde mellem Styrelsen for Grøn Arealomlægning og Vandmiljø, DanBIF, Naturhistorisk Museum Aarhus og Statens Naturhistoriske Museum.
Projektet er finansieret af Aage V. Jensen Naturfond, 15. Juni Fonden og den danske stat.
På Arter finder du:
fund
brugere
datasæt
Du kan ringe til supporten på hverdage mellem kl. 9 og 14 på +45 31 50 15 70, eller du kan udfylde denne kontaktformular
Få hjælp og vejledning i vores hjælpeunivers
Arters app gør det let at registrere dine fund via mobilen. Med appen kan du få viden om arterne og se, hvad andre brugere finder i nærheden af dig.
Hvis du færdes steder med dårlig internetforbindelse, kan du registrere dine fund og uploade dem senere.
Hent appen: