#30635859| Rapporteret d. 18/1-2023 20:22| Raporteret af: Lars Holm Hansen|
Artsbestemmelsen af dette fund er sikker. Du kan stadig foreslå en ny art hvis du ikke er enig. Læs mere om artsbestemmelse her.

Foreslået af Lars Holm Hansen (d. 18/1-2023 20:22) (Sikker)
Her møder vi hinanden med nysgerrighed og imødekommenhed! Få tips og tricks til god kommunikation og læs retningslinjerne for god adfærd på forum-tråde.

3/3-2023 13:28

5/3-2023 09:31
Observeret her:
Usikkerhed: 3.347158709424548m
Info om arten:
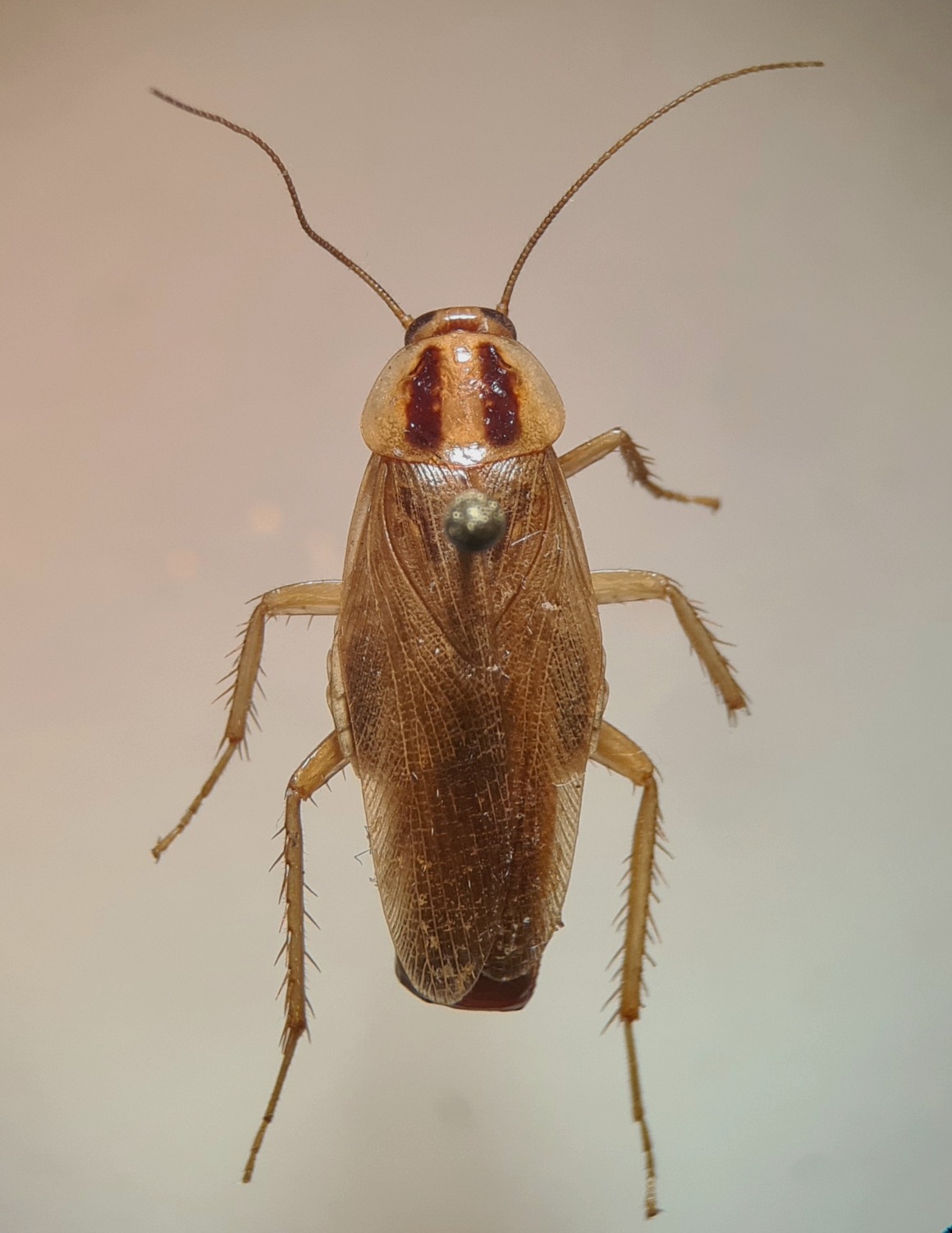
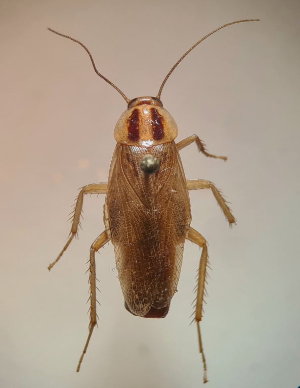
Tysk kakerlak - Blattella germanica

Ingen beskrivelse af denne art. Vi arbejder på sagen.
Ikke vurderet
NE

Arter er et fællesskab, hvor alle kan hjælpe med at finde, registrere og bestemme arter. Du kan samtidig få inspiration til naturoplevelser og viden om Danmarks artsrigdom.
Arter er et samarbejde mellem Styrelsen for Grøn Arealomlægning og Vandmiljø, DanBIF, Naturhistorisk Museum Aarhus og Statens Naturhistoriske Museum.
Projektet er finansieret af Aage V. Jensen Naturfond, 15. Juni Fonden og den danske stat.
På Arter finder du:
fund
brugere
datasæt
Du kan ringe til supporten på hverdage mellem kl. 9 og 14 på +45 31 50 15 70, eller du kan udfylde denne kontaktformular
Få hjælp og vejledning i vores hjælpeunivers
Arters app gør det let at registrere dine fund via mobilen. Med appen kan du få viden om arterne og se, hvad andre brugere finder i nærheden af dig.
Hvis du færdes steder med dårlig internetforbindelse, kan du registrere dine fund og uploade dem senere.
Hent appen: